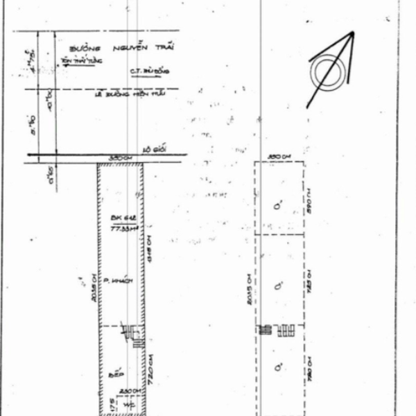
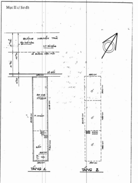
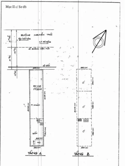
Bán nhà mặt tiền Quận 1
- Vị trí: Mặt tiền đường Nguyễn Trãi, Phường Bến Thành, Quận 1, TP.HCM
- Diện tích: 77,3m2 ( Ngang 4m x Dài 20m )
- Giá bán: 75 tỷ ( 970tr/m2 )
- Kết cấu: Trệt, 2 lầu
- Hướng Tây Bắc
- Pháp lý: Sổ hồng riêng
- Liên hệ: 0988536978
Mã sp: AT166.
Bán nhà 136 Sương Nguyệt Ánh, P. Bến Thành, Quận 1
40.000.000.000đ
Bán nhà 29/5D Thạch Thị Thanh, P. Tân Định, Quận 1
50.000.000.000đ
Bán nhà 140 - 142 Lê Lai, Phường Bến Thành, Quận 1
170.000.000.000đ
Bán nhà 95 Nguyễn Bỉnh Khiêm, P. Tân Định, Quận 1
38.000.000.000đ
Bán nhà 37 - 39 Đông Du, P. Sài Gòn, Quận 1
300.000.000.000đ
Bán quỹ đất 9 Mạc Đỉnh Chi, P. Sài Gòn, Quận 1
1.000.000.000.000đ
Bán nhà 25/16 Nguyễn Bỉnh Khiêm, P. Sài Gòn, Quận 1
32.000.000.000đ
Bán nhà 86F Võ Thị Sáu, Phường Tân Định, Quận 1
60.000.000.000đ
Xem thêm