Bán toà nhà 2MT số 174A đường Nguyễn Đình Chiểu, Phường Võ Thị Sáu, Quận 3

638.000.000.000đ

AT301

Vị trí: Góc 2 mặt tiền 174A đường Nguyễn Đình Chiểu & Lê Quý Đôn, Phường Võ Thị Sáu, Quận 3, TP. Hồ Chí Minh

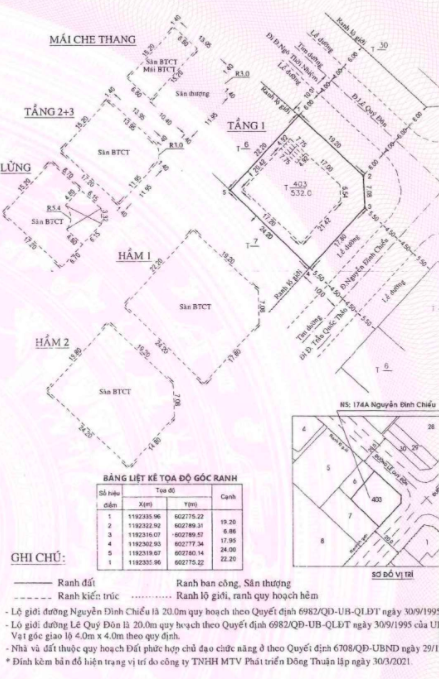
 532m2 ( 22m x 25m )

: 2 hầm, trệt, lửng, 2 lầu, mái che thang.

20m

: Đông Nam - Đông Bắc

: Sổ hồng - Quyền sử dụng nhà và đất 

Gía bán: 638 tỷ


Còn hàng

Bán tòa nhà Góc 2 mặt tiền Nguyễn Đình Chiểu & Lê Quý Đôn, Phường Võ Thị Sáu, Quận 3

- Diện tích: 532m2 ( 22m x 25m )
- Giá bán: 638 tỷ

- Kết cấu: 2 hầm, trệt, lửng, 2 lầu, mái che thang.
- Pháp lý: Sổ hồng riêng
- Liên hệ: 0988536978

Vị trí: https://maps.app.goo.gl/PLFMw8kXEuJPpXkY9?g_st=ic

 

Xem thêm sản phẩm khác tại: https://manhdiaoc.vn/ban-toa-nha-quan-3/



Mã sp: AT301.

  • Đánh giá của bạn

Sản phẩm liên quan

Đã thêm vào giỏ hàng