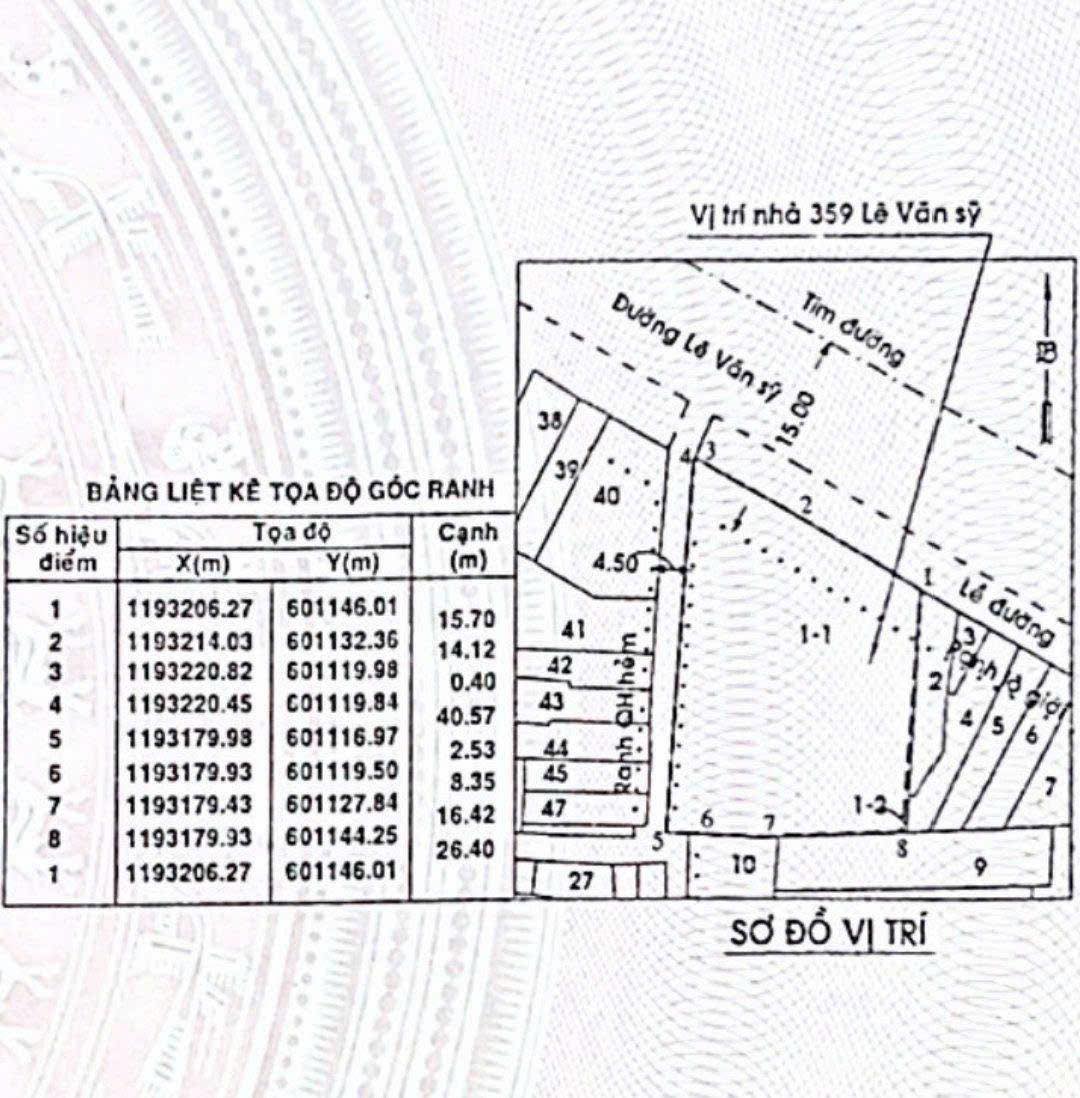
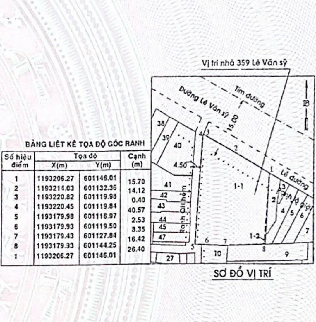
Bán nhà 359 đường Lê Văn Sỹ, Phường 13, Quận 3

480.000.000.000đ

AT309

Vị trí: Mặt tiền 359 đường Lê Văn Sỹ, Phường 13, Quận 3, TP. Hồ Chí Minh

  923,6m2 ( 30m x 40m )

: Trệt, 2 lầu, mái che thang

20m

: Bắc

: Sổ hồng - Quyền sử dụng nhà và đất 

Gía bán: 480 tỷ 


Còn hàng

Bán nhà mặt tiền 359 Lê Văn Sỹ, Phường 13, Quận 3

- Diện tích: 923,6m2 ( 30m x 40m )

- Giá bán: 480 tỷ

- Kết cấu: Trệt, 2 lầu, mái che thang

- Vị trí: Khu kinh doanh thời trang, nhà hàng cao cấp, sầm uất

- Hiện đang là cửa hàng thời trang

- Quy hoạch xây dựng. 2 Hầm, 14 Lầu

- Mật độ 67%. Hệ số 10

- Liên hệ: 0988536978

Mã sp: AT309.

  • Đánh giá của bạn

Sản phẩm liên quan

Đã thêm vào giỏ hàng