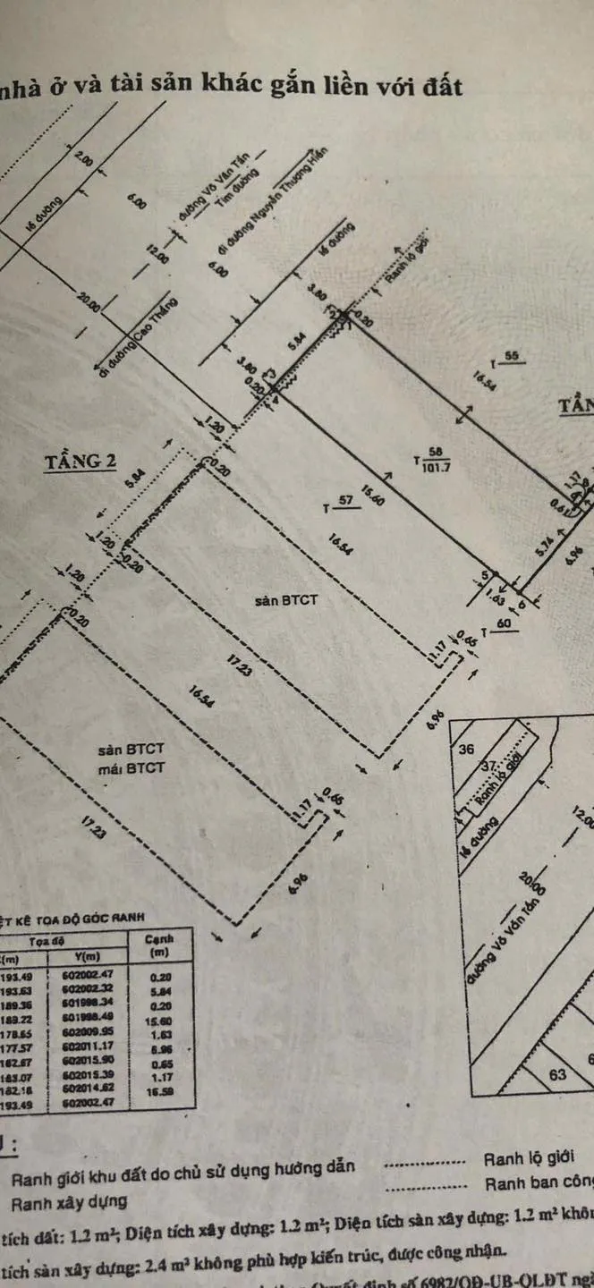
Bán nhà 411 Võ Văn Tần, Phường 5, Quận 3

80.000.000.000đ

SK1893

Vị trí: 411 Võ Văn Tần, Phường 5, Quận 3

101,8m2 ( Ngang 5,8m x Dài 17,5m nở hậu 6,9m )

: 3 tầng

20m

: Tây bắc

: Sổ hồng - Quyền sử dụng nhà và đất 

Gía bán: 80 tỷ ( 786tr/m2 )


Còn hàng

Bán nhà mặt tiền Quận 3

- Vị trí: 411 Võ Văn Tần, Phường 5, Quận 3

- Diện tích CN: 101,8m2 ( Ngang 5,8m x Dài 17,5m nở hậu 6,9m )

- Giá bán: 80 tỷ ( 786tr/m2 )

- Kết cấu: 3 tầng

- Hướng: Tây Bắc

- Liên hệ: 098 853 69 78

Mã sp: SK1893.

XEM THÊM: VÌ SAO BẤT ĐỘNG SẢN TRUNG TÂM TP. HCM LẠI LÀ KÊNH LỰA CHỌN CỦA NHIỀU KHÁCH HÀNG

Sản phẩm liên quan