Bán toà nhà 199 Điện Biên Phủ, Phường Xuân Hoà, Quận 3

130.000.000.000đ

MD2119

Vị trí: 199 Điện Biên Phủ, Phường Xuân Hoà ( P. Võ Thị Sáu cũ), Quận 3

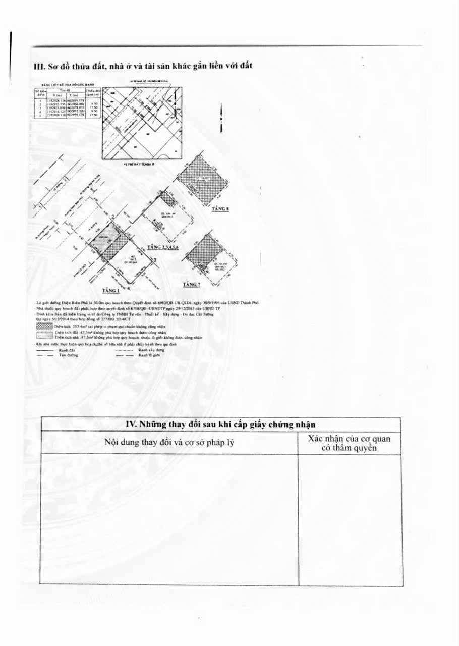
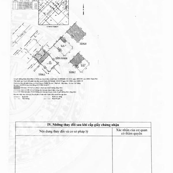
166,3m2 (Ngang 9,5m x Dài 17,5m)

: 8

20m

: Tây Bắc

: Sổ hồng - Quyền sử dụng nhà và đất 

Gía bán: 130 tỷ ( 781tr/m2 )


Còn hàng

Bán tòa nhà Quận 3

- Vị trí: 199 Điện Biên Phủ, Phường Xuân Hoà ( P. Võ Thị Sáu cũ), Quận 3

- Diện tích đất CN: 166,3m2 (Ngang 9,5m x Dài 17,5m)

- Giá bán: 130 tỷ

- Kết cấu: 8 tầng, thang máy. Tổng DTS: 681,5m2

- Hợp đồng thuê ( CF): 250tr/tháng còn 6 năm. ( Cho thuê công ty khai thác văn phòng)

- Hướng: Tây Bắc

- Pháp lý: Sổ hồng riêng

- Liên hệ: 098 853 69 78

Mã sp: MD2119.

Sản phẩm liên quan