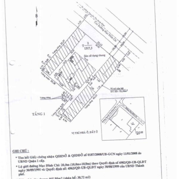
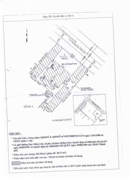
Bán quỹ đất 9 Mạc Đỉnh Chi, P. Sài Gòn, Quận 1

1.000.000.000.000đ

MD2073

Vị trí: 9 Mạc Đỉnh Chi, P. Sài Gòn, Quận 1, TP. Hồ Chí Minh

 1317m2 (Ngang 33m x Dài 39,9m)

Hiện trạng: Đất trống

20m

: Đông Bắc

: Sổ hồng - Quyền sử dụng nhà và đất 

Gía bán: 1650 tỷ


Còn hàng

Bán quỹ đất số 9 Mạc Đỉnh Chi, P. Sài Gòn, Quận 1

- Diện tích CN: 1317m2 (Ngang 33m x Dài 39,9m)

- Giá bán: 1650 tỷ

- Hiện trạng: Đất trống

- GPXD: 4 hầm, 17 tầng

- Hồ sơ pháp lý: Đã hoàn thiện Quyết định 1/500, GPXD, QĐ giao đất, TB nộp thuế, Giấy nộp thuế, Bản vẽ chi tiết..

- Liên hệ: 0988536978

Mã sp: MD2073.

  • Đánh giá của bạn

Sản phẩm liên quan

Đã thêm vào giỏ hàng